Diverse

AccuWeather anunță provocările sezonului uraganilor din Texas în 2026

AccuWeather anunță provocările sezonului uraganilor din Texas în 2026

Prognozele pentru sezonul uraganelor din 2026 indică o activitate moderată, însă specialiștii avertizează că riscul pentru Texas și coasta Golfului persistă. Deși anul trecut a fost unul relativ liniștit, fără impact direct al unei uragane asupra teritoriului continental american pentru prima dată din 2015, experții atrag atenția că evenimentele extreme rămân o posibilitate reală.

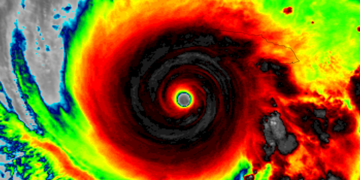
Hurricane Melissa, un exemplu de putere devastatoare

Poza satelitului surprinde Hurricane Melissa în plină apropiere de Jamaica, pe 27 octombrie 2025. În cele 24 de ore premergătoare aterizării sale în insulă, furtuna deja se întărise, fiind clasificată ca uragan de categoria 5. Vânturile puternice și ploaia torențială provocate au lăsat în urmă pagube semnificative în Caraibe, iar specialiștii pun problema dacă astfel de intensificări rapide vor deveni o regulă pentru sezonul următor.

Fotografia, realizată de Institutul Cooperativ pentru Cercetare în Atmosferă la Universitatea de Stat din Colorado, reflectă amploarea și pericolul acestor fenomene. Meteorologii avertizează că, deși activitatea sezonului va fi mai scăzută comparativ cu anii precedenți, riscul de evenimente violente sau neașteptate nu poate fi exclus.

Răspunsul specialiștilor: sezon moderat, dar prudentie maximă

AccuWeather estimează că sezonul va înregistra între 11 și 16 furtuni denumite, din care patru până la opt vor deveni uragane. Dintre acestea, până la trei ar putea depăși categoria 3, atingând astfel nivelul uraganelor majore. În plus, trei până la șase dintre aceste furtuni ar putea avea impact direct în zona nord-americană, cu una sau două în coasta Golfului Mexic.

Analiza meteorologilor subliniază faptul că, deși tendința generală pare să indice o activitate mai redusă, riscurile „last-minute” de intensificare rapidă nu pot fi exclude. În special pentru coasta Texasului, acest fenomen devine o preocupare majoră. Ariel Radu, specialist în fenomene meteo extreme, afirmă că „un uragan poate să se întărească de pe o zi pe alta, iar întreaga planificare trebuie să ia în calcul această posibilitate”.

Factorii climatici și influența El Niño pe anul următor

Un element cheie în previziunile sezonului din 2026 este dezvoltarea potențială a fenomenului El Niño. În ultimele sute de ani, această fază a ciclului climatic tropical a fost asociată adesea cu activitate mai redusă a uraganelor în Atlantic. În cazul apariției acesteia, intensificarea vânturilor înalte de deasupra Oceanului Atlantic interferează cu formarea și dezvoltarea furtunilor, reducând probabilitatea de catastrofă.

Totuși, specialiștii avertizează că evoluția și puterea El Niño vor fi decisive pentru exactitatea predicțiilor. Dacă acesta se va manifesta mai târziu sau va rămâne slab, impactul asupra sezonului din 2026 ar putea fi limitat. În plus, condițiile globale de vreme continuă să evolueze, iar “atunci când global warming și schimbările climatice alternează între faze diferite, previziunile pe termen lung capătă un grad important de incertitudine”, explică meteorologii.

Ce înseamnă pentru Texas și coasta Golfului

Seducția “mai puțină activitate, însă cu un risc concret” răsună ca un avertisment bine cunoscut pentru zonele vulnerabile ale Statelor Unite. În ciuda predicțiilor pentru o sezon mai liniștit, autoritățile locale nu trebuie să se odihnească. Experiența recentă a anului 2025, comunicată chiar de meteorologi, arată că un singur eveniment grav poate provoca distrugeri majore.

Specialiștii subliniază că nu trebuie subestimați factori precum intensificarea rapidă a furtunilor sau potențialul de furtuni violente chiar și în absența unei activități extreme. În condițiile în care Gulf of Mexico încă menține ape suficient de calde pentru dezvoltarea furtunilor, cazurile recente de uragane care s-au intensificat în câteva ore ridică semne de întrebare privind capacitatea de răspuns a structurilor de intervenție.

Raportările oficiale și previziunile specialiștilor indică o vară și toamnă pline de incertitudini, în care pregătirile devin cruciale. La vremea actuală, orice zonă expusă trebuie să fie gata să reacționeze rapid, dacă un uragan va decide să-și facă apariția. A fost, până acum, un sezon „destul de echilibrat” în comparație cu cei din ultimii ani, însă experiența ne-a arătat că extremitățile pot apărea oricând.

În fața unei potențiale activități moderate, dar întotdeauna periculoase, autoritățile din Texas și coasta Golfului își intensifică campaniile de informare și pregătire. Există convingerea că, în cazul unor situații extreme, fiecare minut poate fi decisiv. În acest context, răbdarea și vigilența rămân cele mai importante arme ale populației expuse.