AccuWeather anunță provocările sezonului uraganilor din Texas în 2026
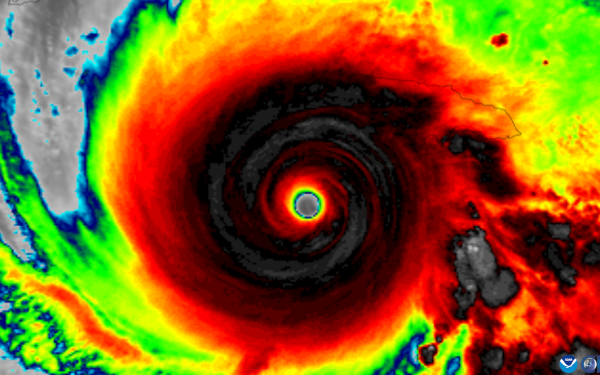
Prognozele pentru sezonul uraganelor din 2026 indică o activitate moderată, însă specialiștii avertizează că riscul pentru Texas și…
Prognozele pentru sezonul uraganelor din 2026 indică o activitate moderată, însă specialiștii avertizează că riscul pentru Texas și…
Primăria Capitalei analizează în continuare situația delicată a blocului din Rahova, afectat serios de explozia din octombrie 2025.
După mai bine de 18 ani și peste 300 de reprezentații, spectacolul „Faust” al Teatrului Radu Stanca din…
Transportul public din Capitală și zona metropolitană se află în fața unor schimbări majore, ce vor fi implementate…
Pensiile aferente lunii aprilie vor fi plătite mai devreme pentru a asigura beneficiarii că vor avea disponibil banii…
Chibuike Nwaiwu, noua speranță a apărării naționale a Nigeriei, convocationat la Super Eagles pentru pregătirea cu Iran și…
Premierul Ilie Bolojan anunță măsuri pentru controlul prețurilor la carburanți, dar evită TVA-ul din cauza procedurilor UE Guvernul…
Poliția Locală a Capitalei pune tunurile pe restaurantele care ignoră legea antifumat, aplicând sancțiuni cu valori ce depășesc…
Meteorologii au emis, vineri dimineață, trei alerte de Cod Galben, avertizând populația din multe regiuni ale țării despre…
Un plan de intervenție de urgență a fost declanșat în această dimineață în localitatea Tărtășești, județul Dâmbovița, după…
Prețurile carburanților cresc din nou, în ciuda măsurilor oficiale pentru controlarea scumpirilor De la 1 aprilie, statul a…
Primăvara începe să dea semne de revenire, iar orașul se pregătește pentru un vârtej de evenimente culturale și…
TikTok-ul a transformat din nou granițele muzicii și ale culturii populare, dând naștere unor combinații neobișnuite și surprinzătoare.
Accident rutier grav în Dâmbovița: microbuz școlar și autocamion implicate, cinci persoane rănite Un grav accident rutier a…
Piața volantă din Sectorul 1 revine în Pajura pentru sfârșitul de săptămână Bucureștiul se pregătește din nou pentru…